Bull Thistle
Cirsium vulgare
Class B
Llimited to portions of the state. In areas with severe infestations, management should be designed to contain the infestation and stop any further spread.
Children & Pets
This plant may pose a particular risk to unsupervised children and animals due to its toxicity or potential for injury.
Agricultural Threat
This plant threatens our state’s food security and economy by reducing agriculture yields and/or degrading soil resources.
Livestock Hazard
This plant presents a threat to the health and/or quality of livestock.
QUICK FACTS
- Bull thistle is native to the Eurasian continent and some of western Africa. It can grow up to 6 feet tall, has a purple flower, and dark green, spiked leaves. The flower sits on top of a spiked bell shaped flower head. It can continue to grow from the root crown until it successfully seeds, then it dies out.
- This plant also uses large amounts of water, gradually drying out the soil and increasing its erosion potential.
- Bull thistle has small bristly hairs along the top of leaves and parts of the stem, making it very spiky. It is recommended to use gloves when handling, and be cautious not to get spikes in eyes, as they can cause permanent corneal damage. This weed can also cause irritation or rashes when its spikes rub against skin.
1. Overview
A difficult, painful, and widespread weed across North America.
Bull thistle slowly crept its way across the U.S. since colonization, however was not documented until the 1800s. Many Native Americans began to use it as a medicinal treatment for joint pain and as a food source. It is currently listed as a noxious weed in New Mexico, California, Colorado, Oregon, and Washington, and threatens Native species like Sacramento Mountain thistle and Wright’s marsh thistle. [4,5]
History of Bull Thistle
Bull thistle is native to the Eurasian continent and some of western Africa. It was likely introduced to the U.S. during colonial times, but was not well documented. It was spread through contaminated crop seeds in the late 1800s and early 1900s across several locations. Slowly, this weed spread through the U.S. and reached South western states after 1824. [4,7]
Bull thistle continues to spread slowly in the U.S. through seeds and accidental transportation. It is not as problematic as other invasive thistles, but invades repeatedly disturbed areas like pastures, roadsides, fences, and waste places. It is currently listed as a noxious weed in New Mexico, California, Colorado, Oregon, and Washington. [3,4]
2. ID Guide
What does it look like?
Bull thistle is a forb usually found in disturbed areas. In its first year it has basal rosettes that can grow up to 3 feet in diameter, leaves are elliptical, have small bristle-like spikes, coarsely toothed and about 12 inches long. In the second year, it bolts with a winged and spiked stem about 2–6 feet tall, and has a purple flower on top of a bell-shaped flower head that is also spiked. Bull thistle looks similar to many other varieties of thistle, especially musk thistle, but can be identified by its winged stem, spiky upper leaf surface, and large flowers.
Having trouble identifying a weed?
Contact your local conservation district or county extension agent.
Key Features
- Plant: Bull thistle acts as a biennial in New Mexico and can grow up to 6 feet tall when mature. In its first year, bull thistle is a basal rosette with dark green leaves up to 3 feet in diameter. The upper surface of leaves are green with small, bristly spikes. In its second year, it has a spiky, winged stem, and grows purple flowers from its long, stiff stems. [1,3]
- Roots: The roots of bull thistle start as a taproot reaching depths of up to 2.5 feet, and develop smaller lateral roots as the plant matures. They have a fleshy color and while they do not spread, they can regrow if the root crown is left intact. Bull thistle can regrow from root crown until it successfully flowers. [7]
- Leaves: In its first year, bull thistle is a basal rosette with a simple taproot. Its leaves are a dark green color about 6–12 inches long, oblong to lance shaped, with tannish-yellow spikes at the end of each lobe. The rosette can grow up to 3 feet in diameter. Stem leaves are also a dark green color, lance shaped, and about 3–12 inches long. Stem leaves have cottony hairs near the stem and sometimes on the bottom side of the leaf. Both basal and stem leaves have small bristle-like hairs on the top side of the leaf, making the whole leaf spiky. [3,7]
- Flowers: Flowers can be seen around June to November in this plant’s second year. The flower head is 1.5-2 inches in diameter and 1–2 inches long, bell shaped, and at the ends of branches. The flower head base is covered in green colored spikes, and has a purple flower on top. [3,7]
- Seeds: Bull thistle only produces by seeds, but can produce 100–300 seeds per flower head and 1-400 flower heads per plant, producing up to 120000 seeds per plant. It relies on insect pollination, with bees being one of its most important pollinators. Seeds are less than 4 mm long, and attached to pappus for wind dispersal. Seeds are dispersed by wind, but most seeds land near the parent plant. They can also be spread by animal and human movement. [1,2,4,7]
Wolfgang Bacher, inaturalist.org
The flower head is 1.5-2 inches in diameter and 1–2 inches long, bell shaped, and at the ends of branches.
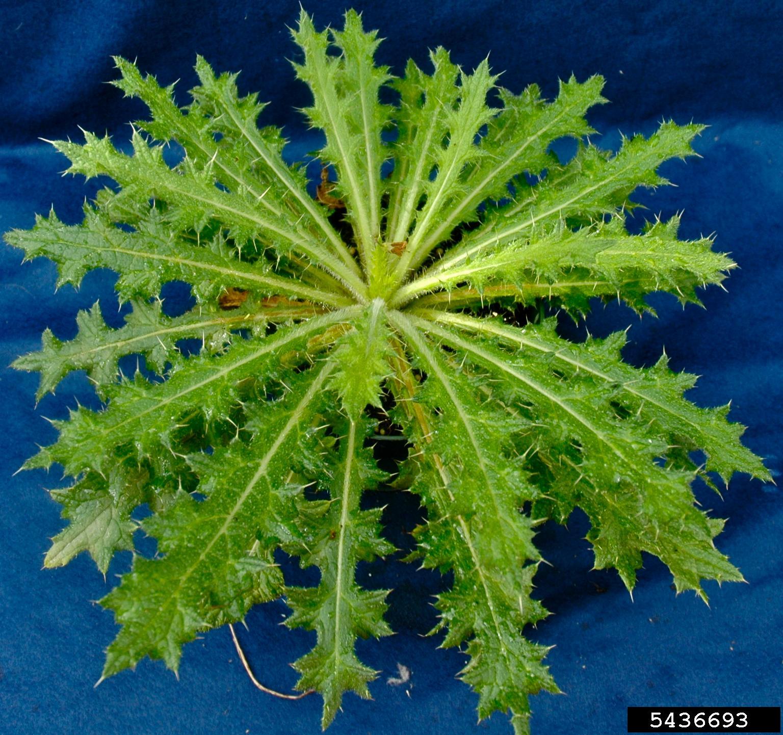
Bruce Ackley, The Ohio State University, Bugwood.org
In its first year, bull thistle is a basal rosette with dark green leaves up to 3 feet in diameter.
Ohio State Weed Lab , The Ohio State University, Bugwood.org
Stem leaves have cottony hairs near the stem and sometimes on the bottom side of the leaf.
Tony Bean, inaturalist.org
In the second year, it bolts with a winged and spiked stem about 2–6 feet tall.
3. Infestation Basics
“Though not so repulsive and ugly as as some others of the spinose composites, it is nevertheless a very objectionable weed on the farm, and requires constant vigilance and attention to exclude it, or keep it in subjection. If permitted to mature its fruit, the spreading pappus may be seen, by hundreds, floating the achenes through the air, and disseminating the noxious intruder far and wide.”
– William Darlington, 1859
Where and how does it grow, and how does it spread?
This weed grows in a variety of habitats, but is usually found in pastures, rangeland, ditches, roadsides, and riverbanks. Its seeds are wind dispersed, usually fall near the parent plant, but can be carried by animal and human movement. [4,7]
Bull thistle prefers sunny, open areas, but can survive partial shade. It prefers moist soils, and can survive in both acidic and alkaline soils of any texture. Fires typically create favorable conditions for this plant to invade, as it leaves bare soil for present seeds to germinate. [7]
Bull thistle is a biennial, but can act as a perennial until it flowers, then dies quickly afterward. In its first year, it grows as a simple taproot and a basal rosette. It typically germinates in spring, but can germinate in summer and fall as well. Rosettes must go through vernalization (cooling the plant to promote flower growth) before bolting, and if the plant has grown an adequate amount, it flowers. Bolting and flowering occur closely together and very quickly, purple flowers can be seen anytime between June to September. [1,7]
Bull thistle is insect pollinated; bees, butterflies, and other pollinators enjoy this weed. Each flower head can produce hundreds of seeds, all with extremely high germination success rates and seed longevity. [1,7]
Seeds are spread by wind, but usually land near the parent plant. Most long distance seed dispersal can be attributed to animal or human movement. They can also contaminate crop seeds and equipment. Bull thistle seeds have a longevity of about 10 years, but are theorized to survive longer if they go into dormancy. The plant can regrow if not cut below the root crown. [4]
Key takeaway: Bull thistle takes advantage of open or disturbed spaces in moist areas. It is difficult to get rid of because of its thick, heavy roots and the amount of seeds produced per plant.
Why is it so invasive?
Bull thistle is covered in spikes and has a heavy root, making it difficult to remove once established. It produces thousands of seeds per plant, which can stay dormant for several years. They threaten native species, and reduce available forage for wildlife and livestock. [4,7]
This weed only spreads by seed, but will regrow until it can flower unless the root crown is cut. Each flower head can produce about 100–300 seeds, and each plant can grow 1–400 flowers per plant, meaning each plant has the potential to produce 120000 seeds. These seeds can spread by wind, but usually fall near the parent plant. They can also attach to animal fur or human equipment and be carried long distances. [7]
Infected fields have little to no grazing value, and tend to be avoided because of its spikes. Bull thistle also alters soil structures and increases erosion, which makes it more difficult for other plants to establish in infected areas. [4,7]
Key takeaway: Bull thistle threatens native species and alters soil. Its spikes are typically avoided by animals, but can cause skin irritation for humans. Each plant produces thousands of seeds, making it difficult to stop its growth.
Common risk factors for invasion
- Soil disturbance: Bull thistle loves to invade areas where soil has been disturbed, such as construction sites, tilled fields, or overgrazed pastures. This disruption weakens existing vegetation and allows thistle to become established. Minimizing unnecessary soil disturbance can help reduce the risk of invasion.
- Open spaces: This weed favors open, sunny environments with little to no canopy cover, such as pastures, cultivated fields, and south-facing slopes, but can survive in partially shaded areas. These conditions allow the weed to establish quickly and outcompete other plants. Maintaining healthy, large-leafed vegetation in these areas can help limit its spread.
- Proximity to burned areas: Bull thistle seeds take advantage of intense wildfire activity. When fires get intense enough, they kill off the top layer of soil as well as the pre-existing vegetation. This creates the perfect opening for bull thistle to take hold. Especially since seeds can stay dormant for several years.
- Overgrazing: When livestock are allowed to graze in a single area for too long, they will rip through the existing vegetation and expose the top layer of soil. This creates an opening for bull thistle seeds, but this risk can be mitigated by practices that move cattle around more frequently, such as rotational grazing. Additionally, livestock avoid grazing on bull thistle, leaving the weed to seed and spread to nearby areas.
Impacts
Ecosystem Health
Once established, bull thistle displaces native plants, resulting in a notable loss of floral and faunal biodiversity. This can significantly reduce forage availability for game and often alters soil composition. [4]
Health and Safety
Bull thistle has small spikes over the entire plant, which can physically injure children, workers, livestock, and wildlife, causing skin irritation and corneal damage. [4,6]
Economic
Bull thistle will become a monoculture through aggressive seed production and vegetative growth. It can reduce available forage for domestic livestock and cause damage to cattle. It also reduces fruit yields, wool production, and hay and grain field value. Furthermore, it is estimated the wool industry loses $15 million a year because of bull thistle. [4]
Soil Degradation
Bull thistle threatens agriculture by competing for resources and reducing land productivity. In addition to those direct threats, bull thistle also poses indirect threats to agriculture and natural resource conservation on the landscape by negatively impacting the quality of our soil. This plant also uses large amounts of water, gradually drying out the soil and increasing its erosion potential. Soil erosion reduces soil fertility and affects water quality in nearby water bodies, as eroded soil particles can carry nutrients and pollutants into streams and rivers. Additionally, the dense growth of bull thistle can hinder the regeneration of native vegetation, leading to long-term soil health issues and further degradation. [4,7]
4. Management Strategies
The best way of managing bull thistle is prevention, usually by keeping vegetation in an area healthy and undisturbed. When infestations occur, mechanical methods like pulling or mowing are effective at preventing seed dispersal. While pulling this weed, roots need to be severed below the root crown, or it may grow back. When mowing, it is best done immediately before flowering or soon after, before seeds spread. Herbicides give temporary management, but typically not effective on its own. Integrated management should be implemented to control weeds and prevent further outbreaks. [4,7]
DO’s
- Keep healthy vegetation and avoid disturbing soil to prevent bull thistle from establishing itself.
- Pull or cut bull thistle before flowering, preventing more weeds from growing.
- Combine several management methods including seeding desired vegetation and mechanical control, and continue doing so for several years to prevent reinfestation.
DON’Ts
- Allow plant to seed, as this spreads thousands of seeds that stay dormant for years.
- Leave root crown; it can regrow if root crown is attached, and continues to grow until it successfully flowers.
- Allow weed to become widespread. It has heavy roots that are difficult to remove, and is easier to manage in small or singular infestations.
** The following information is provided courtesy of the UC Weed Research and Information Center. nmweeds.org does not endorse the use of any particular product, brand, or application thereof. **
Because bull thistle establishes most easily in disturbed or open ground, improving grazing practices, reducing soil disturbance, and encouraging vigorous perennial cover can limit new seedlings. Hand‑pulling or cutting the plant at the rosette or early bolting stage prevents flowering and gradually reduces the seedbank. Consistent monitoring of disturbed areas and prompt removal of new plants helps keep populations from expanding over time.
Tillage, hoeing, and hand pulling are effective as long as they are done before flowering to prevent seed production. Any mechanical or physical control measure that severs the root below the soil surface is very effective. The plant must be cut off below the soil surface and no leaves should remain attached, or the plant will recover.
Mowing is only effective when done either immediately before flowering or when plants are just starting to flower. Mowing too early only delays flowering, while mowing too late may allow production of viable seed. Because there can be a wide variation in the maturity of plants, a single mowing is generally insufficient because some seed will still be produced. Repeated mowing throughout the growing season is a more successful approach.
The ability of thistles to invade pastures can be changed by grazing management, primarily by changing the competitiveness of the desirable pasture species. Sheep, goats, and horses, but not cattle, will eat young plants and can have a significant effect on thistles in the early stages of an infestation.
It is unclear whether fire will completely kill bull thistle. Only mature thistle plants may readily combust and their seed may already be dispersed. Fire can create conditions that favor the establishment of bull thistle, so colonization after a fire may be enhanced.
The bull thistle gall fly (Urophora stylata) was released as a biocontrol agent in the Pacific Northwest, as was the thistle head weevil, Rhinocyllus conicus. R. conicus is widely established in the western United States and attacks many thistle species, including some native species.
The following specific use information is based on published papers and reports by researchers and land managers. Other trade names may be available, and other compounds also are labeled for this weed. Directions for use may vary between brands; see label before use. Herbicides are listed by mode of action and then alphabetically. The order of herbicide listing is not reflective of the order of efficacy or preference.
|
2,4-D Several names |
Rate: 1.6 to 2.1 qt product/acre (1.5 to 2 lb a.e./acre) Timing: Postemergence at rosette stage. Treat seedling rosettes in fall. Remarks: 2,4-D is broadleaf-selective and has no soil activity. It may require repeat applications. 2,4-D is generally not the most effective treatment, but is widely used because of low cost. Use a surfactant. When using the ester formulation do not apply when outside temperatures exceed 80°F. |
|
Aminocyclopyrachlor + chlorsulfuron Perspective |
Rate: 4.75 to 8 oz product (Perspective)/acre Timing: Postemergence and preemergence. Postemergence applications are most effective when applied to plants from the seedling to the bolting stage. Remarks: Perspective provides broad-spectrum control of many broadleaf species. Although generally safe to grasses, it may suppress or injure certain annual and perennial grass species. Do not treat in the root zone of desirable trees and shrubs. Do not apply more than 11 oz product/acre per year. At this high rate, cool-season grasses will be damaged, including bluebunch wheatgrass. Not yet labeled for grazing lands. Add an adjuvant to the spray solution. This product is not approved for use in California and some counties of Colorado (San Luis Valley). |
|
Aminopyralid Milestone |
Rate: 3 to 5 oz product/acre (0.75 to 1.25 oz a.e./acre) Timing: Postemergence in spring to early summer when the target plants are in the rosette to bolting stage, or in fall to seedlings. Remarks: Aminopyralid is a broadleaf herbicide similar to picloram, but more selective and generally safe on grasses. Its soil residual activity will kill emerging seedlings. Aminopyralid has a longer soil residual and higher activity than clopyralid. Aminopyralid can also be used in a premix with 2,4-D (Forefront HL) at 1.2 to 1.5 pt product/acre for bull thistle control. |
|
Clopyralid Transline |
Rate: 0.67 to 1.33 pt product/acre (4 to 8 oz a.e./acre) Timing: Postemergence in spring up to the bud stage. Can also apply to fall regrowth. Results are best if applied to rapidly growing weeds. Remarks: Clopyralid is a broadleaf herbicide like picloram, but more selective. It is very safe on grasses. |
|
Dicamba Banvel, Clarity |
Rate: 1 to 2 pt product/acre (0.5 to 1 lb a.e./acre) Timing: Postemergence to rosettes in spring. Fall applications help control seedling rosettes. Remarks: Dicamba is a broadleaf-selective herbicide often combined with other active ingredients. It is also effective when tank-mixed with 2,4-D (0.75 lb a.e./acre of dicamba + 0.25 lb a.e./acre of 2,4-D). Avoid drift to sensitive crops. Do not apply when outside temperatures exceed 80°F. Dicamba is available mixed with diflufenzopyr in a formulation called Overdrive. This has been reported to be effective on bull thistle. Diflufenzopyr is an auxin transport inhibitor which causes dicamba to accumulate in shoot and root meristems, increasing its activity. Overdrive is applied postemergence at 4 to 8 oz product/acre on rapidly growing plants. Higher rates should be used on large annuals and biennials. Add a non-ionic surfactant to the treatment solution at 0.25% v/v or a methylated seed oil at 1% v/v solution. |
|
Picloram Tordon 22K |
Rate: 0.5 to 0.75 pt product/acre (2 to 3 oz a.e./acre) Timing: Postemergence during active growth before bud stage. Remarks: Picloram is one of the most effective herbicides for bull thistle control. Most broadleaf plants are susceptible, but relatively safe on established grasses. It is also effective when mixed with dicamba or 2,4-D. Picloram has long soil residual activity and has been reported by some to injure young or germinating grasses. Picloram can also be used in a premix with 2,4-D (Grazon P+D) to give control of bull thistle. Picloram products are federally restricted use pesticides. Picloram and its formulations are not registered for use in California. |
|
Triclopyr Garlon 3A, Garlon 4 Ultra
|
Rate: 0.33 to 1.5 gallons Garlon 3A/acre or 0.25 to 1 gallons Garlon 4 Ultra/acre (1 to 4.5 lb a.e./acre) Timing: Postemergence to rapidly growing weeds, up to bud stage. Remarks: Triclopyr is broadleaf-selective and safe on most grasses. It is most effective on smaller plants. Garlon 4 Ultra is formulated as a low volatile ester. However, in warm temperatures, spraying onto hard surfaces such as rocks or pavement can increase the risk of volatilization and off-target damage. Recommended rates are based on those reported for perennial thistles. Triclopyr can also be used in a premix with 2,4-D (Crossbow) or clopyralid (Transline). |
|
Chlorsulfuron Telar |
Rate: 1 oz product/acre (0.75 oz a.i./acre) Timing: Postemergence to young rapidly growing weeds. Remarks: Chlorsulfuron provides residual control 1 year after treatment. It has mixed selectivity, but is generally safe on grasses. Always use a surfactant. 2,4-D at 1 to 2 pt product/acre can be tank-mixed with chlorsulfuron for quicker burndown. |
|
Imazapyr Arsenal, Habitat, Stalker, Chopper, Polaris |
Rate: Broadcast treatment: 4 to 6 pt product/acre (1 to 1.5 lb a.e./acre). Spot treatment: 1% v/v solution Timing: Postemergence at flowering. Remarks: Imazapyr is best used as a spot treatment. It is a nonselective herbicide. It also has long soil residual activity and can leave more bare ground than other treatments, even a year after application. Recommended rates are based on those reported for perennial thistles. |
|
Metsulfuron Escort
|
Rate: 1.5 to 2 oz product/acre (0.9 to 1.2 oz a.i./acre) Timing: Postemergence to young, rapidly growing weeds in spring before flowering, or in fall to new rosettes. Remarks: Metsulfuron has mixed selectivity, but is generally safe on grasses. Use a surfactant. It can be tank-mixed with 2,4-D or aminopyralid. Opensight is a premix of aminopyralid and metsulfuron; use at 1 to 2.5 oz product/acre. Metsulfuron has some soil residual activity. Recommended rates are based on those reported for perennial thistles. Metsulfuron and its formulations are not registered for use in California. |
5. Citations
[1] “Bull Thistle,” in The Weed Workers’ Handbook , Watershed Project and the California Invasive Plant Council. Available: https://www.cal-ipc.org/docs/ip/management/wwh/pdf/19637.pdf
[2] Washington State Noxious Weed Control Board, “Bull Thistle,” Wa.gov, 2022. Available: https://www.nwcb.wa.gov/weeds/bull-thistle
[3] Native Plant Society of New Mexico, “Bull Thistle,” Wildflowers of New Mexico. Available: https://npsnm.org/wildflowersnm/Cirsium_vulgare.html. Accessed: Jul. 17, 2025
[4] CABI, “Cirsium vulgare (spear thistle),” CABI Compendium, 2021. doi: https://doi.org/10.1079/cabicompendium.13631
[5] M. Alfs, “An Herbal Breakthrough in Rheumatology Bull Thistle (Cirsium vulgare) for Spondyloarthropathy,” Journal of the American Herbalists Guild , vol. 12, no. 3, 2014.
[6] “Bull Thistle – Cirsium vulgare,” Montana Plant Life. Available: https://montana.plant-life.org/cgi-bin/species03.cgi?Asteraceae_Cirsiumvulgare. [Accessed: Jul. 17, 2025]
[7] K., Zouhar. 2002. Cirsium vulgare. In: Fire Effects Information System,. U.S. Department of Agriculture, Forest Service, Rocky Mountain Research Station, Fire Sciences Laboratory. Available: https://www.fs.usda.gov/database/feis/plants/forb/cirvul/all.html

Bruce Ackley, The Ohio State University, Bugwood.org
The roots of bull thistle are edible and can be cooked to taste like Jerusalem artichoke. Young flower stems and leaves can be eaten cooked with other vegetables as well, but spikes must be removed from stem and leaf in order to eat, unless soaked with salt overnight. Flower buds and seeds can be eaten roasted. Bull thistle has little nutritional value, but was traditionally stored and eaten in colder months. [5]

Pavel Gorbunov, inaturalist.org

Rob Routledge, Sault College, Bugwood.org
Bull thistle has several medicinal uses, including joint pain relief. The roots can be used to make a paste for joint pain. The whole plant can be boiled and used as a steam for rheumatic joints or decoction for joint pain and bleeding piles. [5,6]

Rob Routledge, Sault College, Bugwood.org

Bruce Ackley, The Ohio State University, Bugwood.org
While most grazing animals avoid bull thistle because of its spikes, animals and insects like birds, grizzly bears, gophers, and pollinators enjoy eating various parts of this plant. This usually helps in preventing seed dispersal, but not killing existing mature plants. [7]

Rob Routledge, Sault College, Bugwood.org

Rob Routledge, Sault College, Bugwood.org

Barry Rice, sarracenia.com, Bugwood.org

John M. Randall, The Nature Conservancy, Bugwood.org

Eric Coombs, Oregon Department of Agriculture, Bugwood.org

Ohio State Weed Lab , The Ohio State University, Bugwood.org
